Please ensure Javascript is enabled for purposes of website accessibility
Skip to main content

Thank you for supporting journalism at your local newspaper. This article is available exclusively for our subscribers, who help fund our work at Santa Rosa Press Gazette.


News

Property near old Moors golf course slated for development

| Staff Reporters
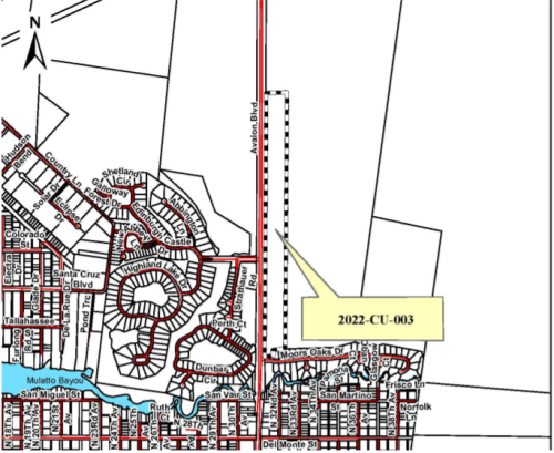
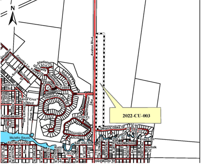
SNS Realty Inc. plans to create a development of homes and commercial property near the Moors Golf and Racquet Club between Moors Oaks Drive and Avalon Boulevard, according to SNS Managing Broker Rodney Sutton.
Land along Avalon Boulevard near the old Moors Golf and Racquet Club was approved for a conditional use permit that will allow an apartment complex to be developed.

 

The remainder of this article is available only for our website subscribers, who help fund our mission of keeping you updated on news you want and need to know. You can become a subscriber for as little as $5.67 a month.

error: Content is protected !!